Община Троян кандидатства с проект „Детска площадка в ДГ „Синчец“ по проект „Красива България“


На 23.10.2018 г. стартира кампания за набиране на предложения за участие по проект „Красива България” на Министерството на труда и социалната политика през 2019 г. Крайният срок за подаване на проектите беше 18.01.2019 г.

Както всяка година, така и през настоящата, Община Троян се възползва от обявената кампания по проект „Красива България”, като кандидатства по Мярка 02 „Подобряване на социална инфраструктура” с проект: „Детска площадка в ДГ „Синчец“ гр. Троян.

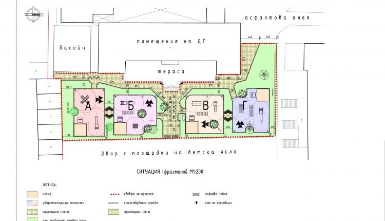
Предмет на проекта е благоустрояване на част от дворно пространство и изграждане на площадки за игра на деца от 3 до 7 години в детска градина „Синчец“. В детската градина се отглеждат и обучават 133 деца, разпределени в пет групи. Целта е чрез изпълнение на СМР по благоустрояване на част от двора и монтаж на съоръжения на избрана част от двора на имота за детски кът (площадка за игра), да се създаде благоприятна физическа среда за отдих и игра на децата в детското заведение.

Формиралите се във времето места за отдих и забавления на децата от групите на детската градина са разположени основно в източната част на двора. Монтираните съоръжения са в лошо физическо състояние и не отговарят на изискванията на Наредба №1/12.01.2009 г. В северозападната част на двора има изградена детска площадка за една група.

За решаване на проблемите по физическото състояние на част от терена на детската градина е разработен архитектурен проект за изграждане на четири детски площадки с единични и комбинирани детски съоръжения.

Стойността на проектното предложение е 114 282 лв., от които при реализирането на проекта Община Троян следва да осигури 68 569 лв., а проект „Красива България“ – 45 713 лв.

 

Коментари